HFD
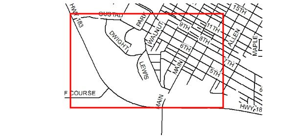
The City of Hays Fire Department will be inspecting fire hydrants and flushing water mains on Tue., March 15, in the area South of 8th Street to 1st Street between Hwy 183 Bypass and Allen Street. This is part of a coordinated effort by the City of Hays to inspect all fire hydrants in the city and flush all water mains annually.
This is part of a coordinated effort by the City of Hays to inspect all fire hydrants in the city and flush all water mains annually.
Inspecting fire hydrants ensures that the valves operate properly and that there is no damage or obstructions that will prevent or interfere with the prompt use of fire hydrants in an emergency. Firefighters are also checking the pressure and volume of water mains in each neighborhood for firefighting purposes. The associated flushing of water mains allows chlorine to be distributed throughout the system to eliminate bio-filming in the water mains.
Slight discoloration of the water supply may be encountered although there will be no health risks to the consumer. All reasonable efforts will be taken to minimize the inconvenience to the public. Drivers are asked to avoid driving through water discharging from a fire hydrant during the short flushing period.
For more information contact the Hays Fire Department at (785) 628-7330.