We have a brand new updated website! Click here to check it out!

Wal-Mart to open new Kansas training center

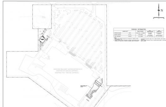
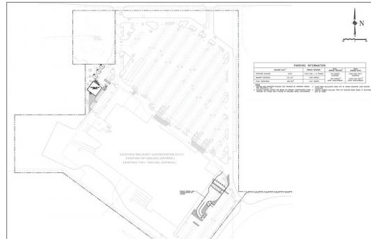
Plans for new Walmart training facility- image city of Topeka Planning
Plans for new Walmart training facility- image city of Topeka Planning

TOPEKA, Kan. (AP) — Wal-Mart is planning a new 3,000-square foot training center in Topeka.

Wal-Mart spokesman Kory Lundberg says the new Topeka facility is part of a nationwide plan that includes 200 centers located in stores across the country. Lundberg says the centers are dedicated facilities for some supervisors to get hands-on training.

In paperwork filed in June with the City of Topeka planning department, Wal-Mart indicated it would build the Topeka center near the east end of a store there.

Lundberg told The Topeka Capital-Journal that Wal-Mart elected to build 200 training academies nationwide to make it easier for employees to receive training near their homes. The Topeka facility will add about 14 positions for trainers to the store.

He says the training center is expected to be running next year.

Copyright Eagle Radio | FCC Public Files | EEO Public File