HFD
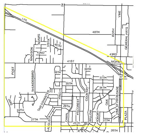
The city of Hays Fire Department will be inspecting and flow testing fire hydrants on Thu., March 8, 2018 in the area from Vine St. to Highway 183 Bypass between 27th St. and I-70.
This is part of a coordinated effort by the city of Hays to inspect all fire hydrants in the city and flush all water mains annually.
