We have a brand new updated website! Click here to check it out!

Friday fire hydrants flushing

HFD

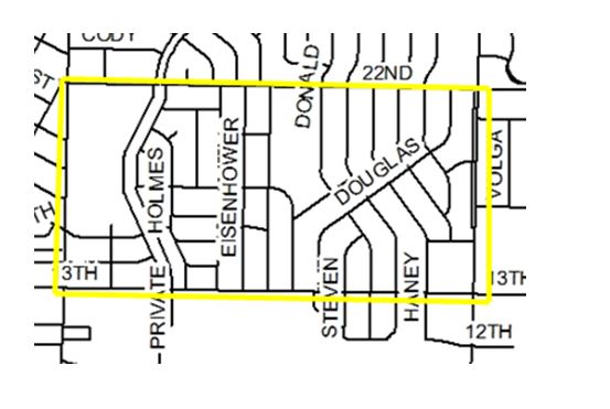
The city of Hays Fire Department will be inspecting and flow testing fire hydrants on Fri., March 9, 2018, in the area from Vine St. to Canterbury Dr. between 13th St. and 22nd St.

This is part of a coordinated effort by the city of Hays to inspect all fire hydrants in the city and flush all water mains annually.

Copyright Eagle Radio | FCC Public Files | EEO Public File